Előterjesztések 2019-12-05
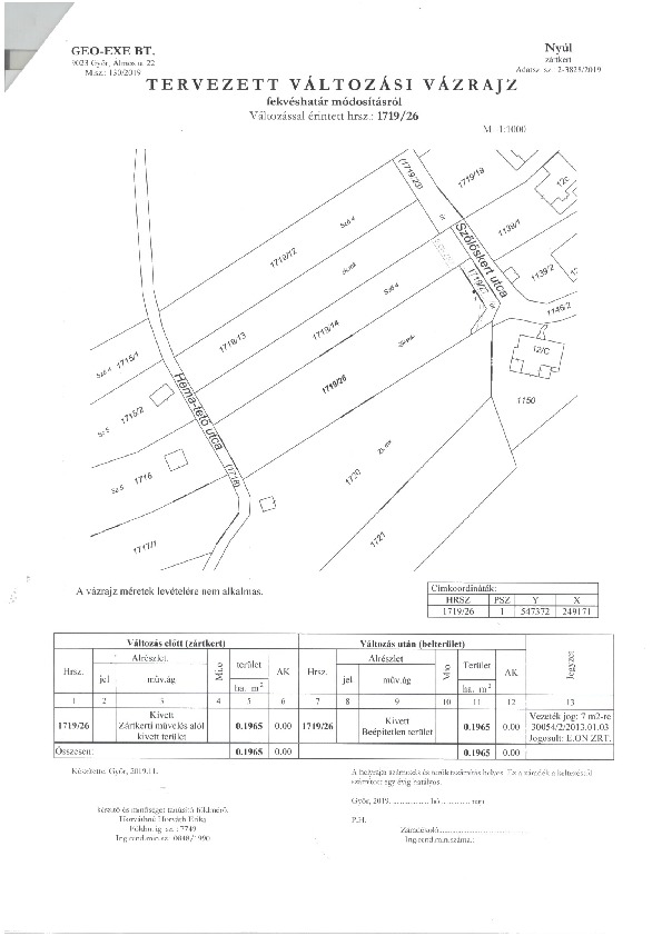
Nyúli 1719/26 hrsz ingatlan belterületbe vonása - változási vázrajz és térképkivonat
2019-11-29
881 KByte (pdf)
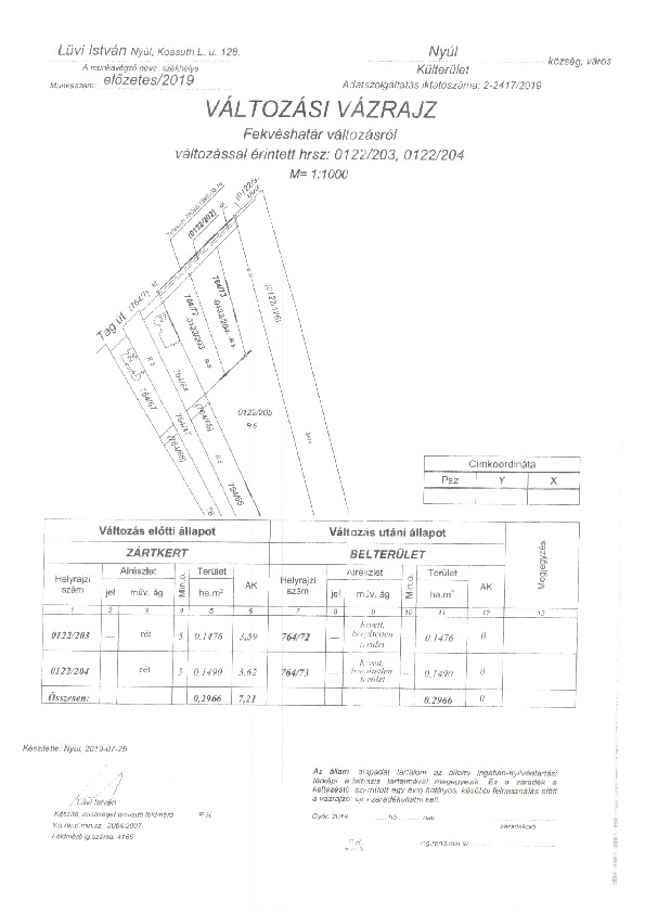
Nyúli 0122/203 és 0122/204 hrsz ingatlanok belterületbe vonása - változási vázrajz és térképkivonat
2019-11-29
836 KByte (pdf)
Nyúli 0122/203 és 0122/204 hrsz ingatlanok belterületbe vonása - határozati javaslat
2019-11-29
16 KByte (pdf)
Rendezési terv módosítási kérelmekhez eljárásrendi szabályzat és előterjesztés
2019-11-29
101 KByte (pdf)
